【追記:オープン日は3月25日】上草柳に「エニタイムフィットネス」ができるみたい。ミニストップがあったとこ
オープン日が判明しました。
↓こちら

店舗に貼ってあった貼紙によると、オープン日は3月25日とのこと。3月11日には施設見学会も行われるみたい。
オープンを待っている人も多いのでは!
【追追記終了】※「ゆきね」さん、情報ありがとうございました。
【追記】
何のフィットネスクラブができるのか判明しました。
エニタイムフィットネス公式HP↓
上記ページには「相模大塚店」の情報が。オープン日や詳細情報はまだ公表されていませんが、住所やマップをみると同じ場所です。
【追記終了】※「チエ」さん、「くろ」さん、「ひなぶんちょ」さん、「つー」さん、情報ありがとうございました。
上草柳にフィットネスクラブができるようです。
↓こちら

現地はまだ更地の状態。更地になっていることは以前の記事でも紹介しています。
この場所には以前「ミニストップ 大和上草柳店」がありました。
以前の写真↓

比べてみると完全に建物もなくなり、駐車場も取り壊されています。
地図ではここ↓
住所は神奈川県大和市上草柳170-4。

こっちに行くと、「東神トラックステーション」や「ほぐし職人スッキリ 大和・西鶴間店」などが。

反対方向にいくと桜森2号公園や「セブンイレブン 大和桜森店」があります。

現地の工事板によると、「(仮称)大和市上草柳店」とのこと。何のフィットネスクラブかは分かりませんでしたがチェーン店かもしれません。
用途の欄にフィットネスクラブとの記載がありましたが、事業完了日も未記載だったため、いつオープンするのかは不明。

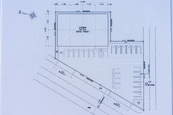
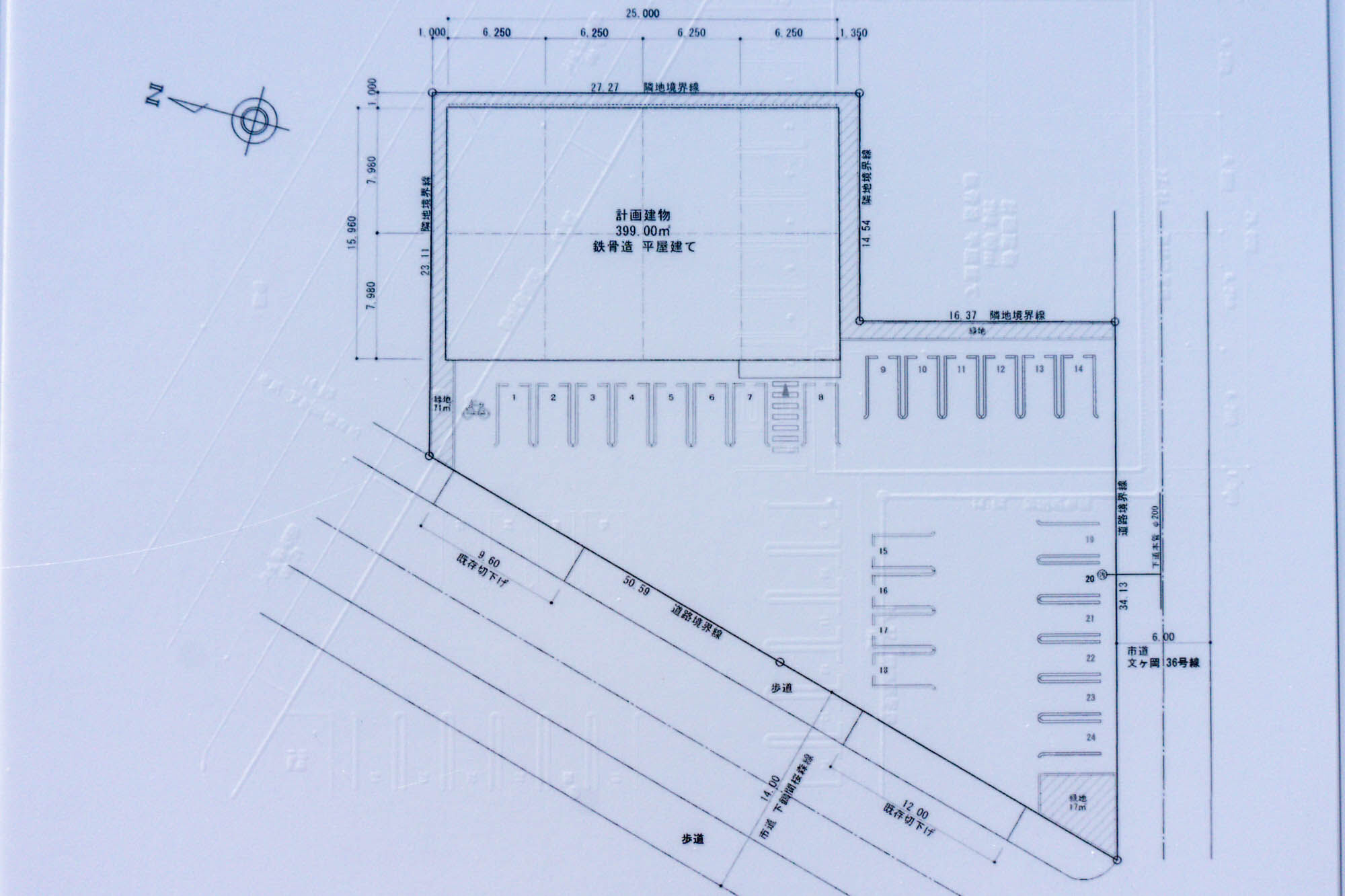
図面はこんな感じ。駐車場付きのフィットネスクラブになるみたい。
詳細情報はまだ分からなかったので、今後も追っていこうと思います。
■関連リンク
大和とぴっくでは読者さんからの情報提供をずっと待ってます!




