大和とぴっく
開店・閉店
グルメ
まとめ
まち
特集
話題
フォト
イベント
お店
クイズ
広告
広告掲載
お知らせ
やまとぴとは
\やまとぴ過去最高114万PV達成!/
1つ新しい記事へ
│at 2025年07月27日21:00│
1つ古い記事へ
厚木街道ぞい瀬谷地区センターむかいに倉庫できるみたい
厚木街道沿い瀬谷区橋戸に倉庫業を営まない倉庫ができるようです。
↓こちら
撮影時はまだ更地。
地図ではここ↓
住所は神奈川県横浜市瀬谷区橋戸1-1-1あたり。
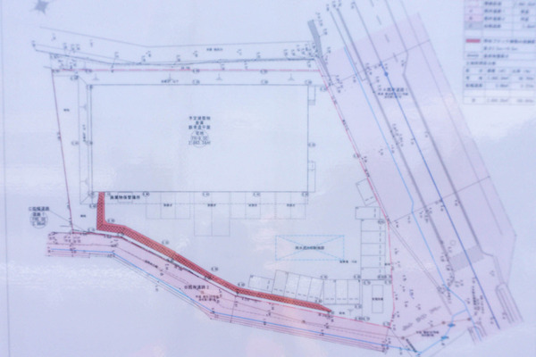
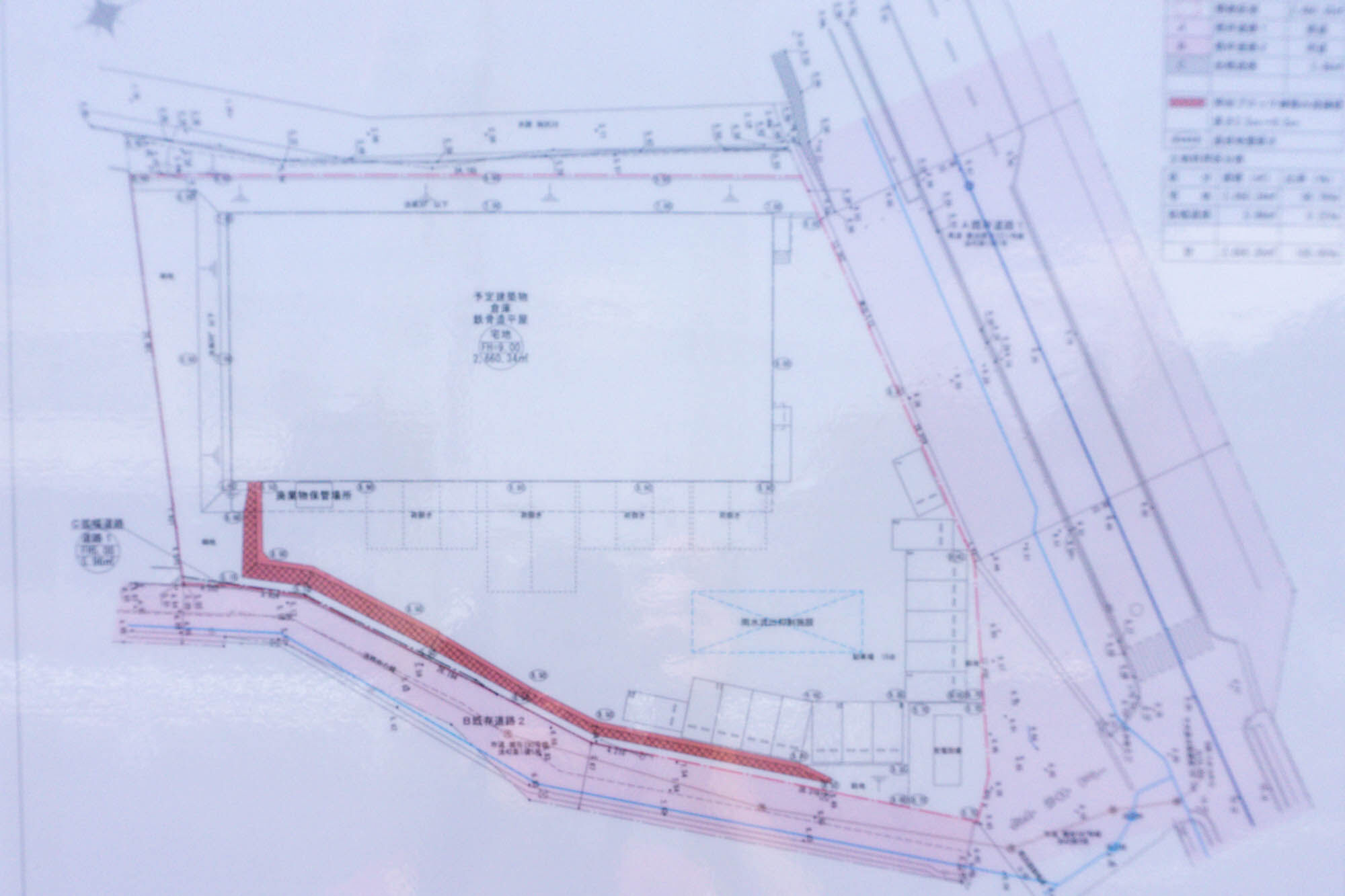
現地にあった看板によると、この場所には倉庫業を営まない倉庫ができるとのこと。まだ工事完了日は記載されていませんでした。
計画図も見ることができます。
大きな区画で厚木街道沿いだったので、何ができるのか気になっていた人も多いのではないでしょうか。
■関連リンク
大和とぴっくでは読者さんからの情報提供をずっと待ってます!
やまとぴと一緒に大和情報を充実させませんか?
お店ができた!あそこで工事してる!などなど
些細なことでも大丈夫です!
★
情報提供はコチラ
★
「まち」カテゴリの最新記事
ライター:
ユカ
カテゴリ :
まち
タグ :
横浜市
瀬谷区
橋戸
工事
厚木街道
倉庫
記事URL
│
編集
│at 2025年07月27日21:00
誤字・脱字の指摘
|
情報提供求む!
<<1つ新しい記事
「大和市民まつり」「神奈川大和阿波おどり」先に始まったのはどっち?【やまとクイズ】
1つ古い記事>>
阿波おどり夜も大盛りあがり!!【やまとぴフォト】
大和とぴっくトップページへ
先月の人気記事